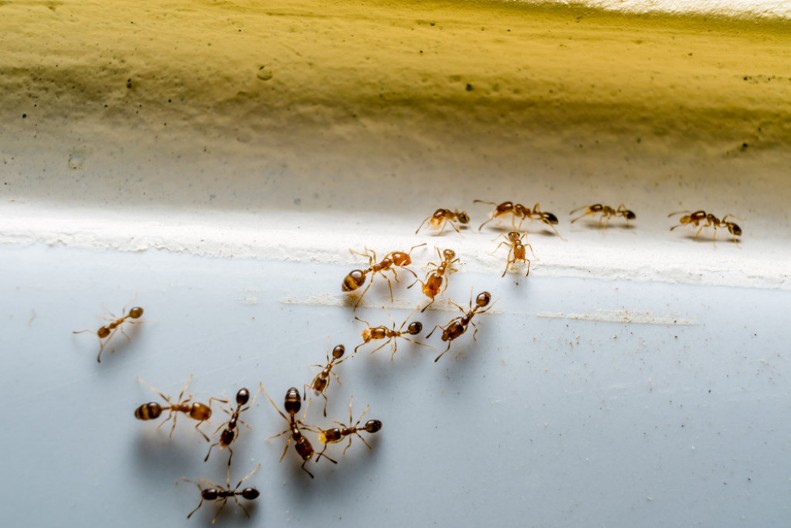
Ako imate problema sa mravima i bubašvabama, postoji jednostavan i prirodan način da ih se rešite zauvek – uz pomoć paste za zube i šećera!

Ovi insekti često preplave kuhinju i skrovite uglove doma, a mnogi komercijalni insekticidi deluju samo privremeno. Ova metoda koristi njihovu prirodnu sklonost ka slatkišima – šećer ih privlači, dok sastojci iz paste za zube deluju smrtonosno na njih.

Priprema zamke je jednostavna: pomešajte šećer, brašno, pastu za zube i vodu dok ne dobijete gustu smesu, od koje ćete oblikovati male kuglice. Postavite ih u uglove doma, posebno u kuhinji, ispod sudopere i iza frižidera.

Mravi i bubašvabe će brzo pronaći zamku i nestati nakon konzumacije.

Ovaj trik je efikasan, jeftin i bezbedan za decu i kućne ljubimce, za razliku od agresivnih hemijskih sredstava.



Bonus video: 

Box: TikTok video